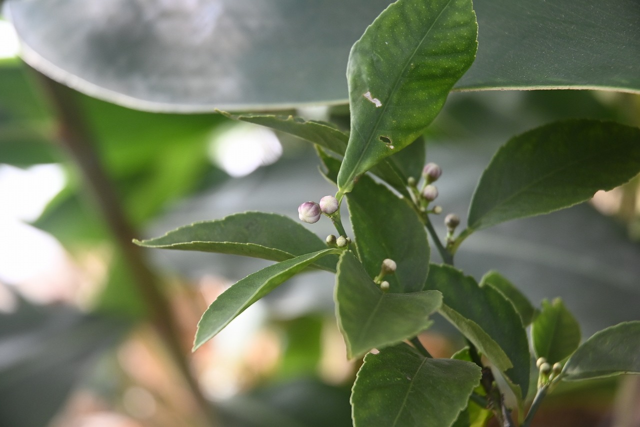
レモン
撮影日 令和8年1月26日

2025/1/20
ウグイスカグラ

2026/1/27
ステビア


温室にあるレモンのつぼみです。
ミカン科ミカン属の常緑高木です。
寒さに弱いため、温室に置いてあります。
可愛らしいつぼみをつけています。

あちこちにつぼみはありますが、どのくらい実をつけるでしょうか。
昨年は花は30輪以上咲きましたが、実は一つしか付きませんでした。
今年はどうなるでしょうね。
最近、国産レモンが店頭で売られているようですが、私は酸味のあるものが得意ではないので、レモンはあまり使わないです。